Internacional
Furacão Milton alcança categoria 5 pode ser o pior em 100 anos
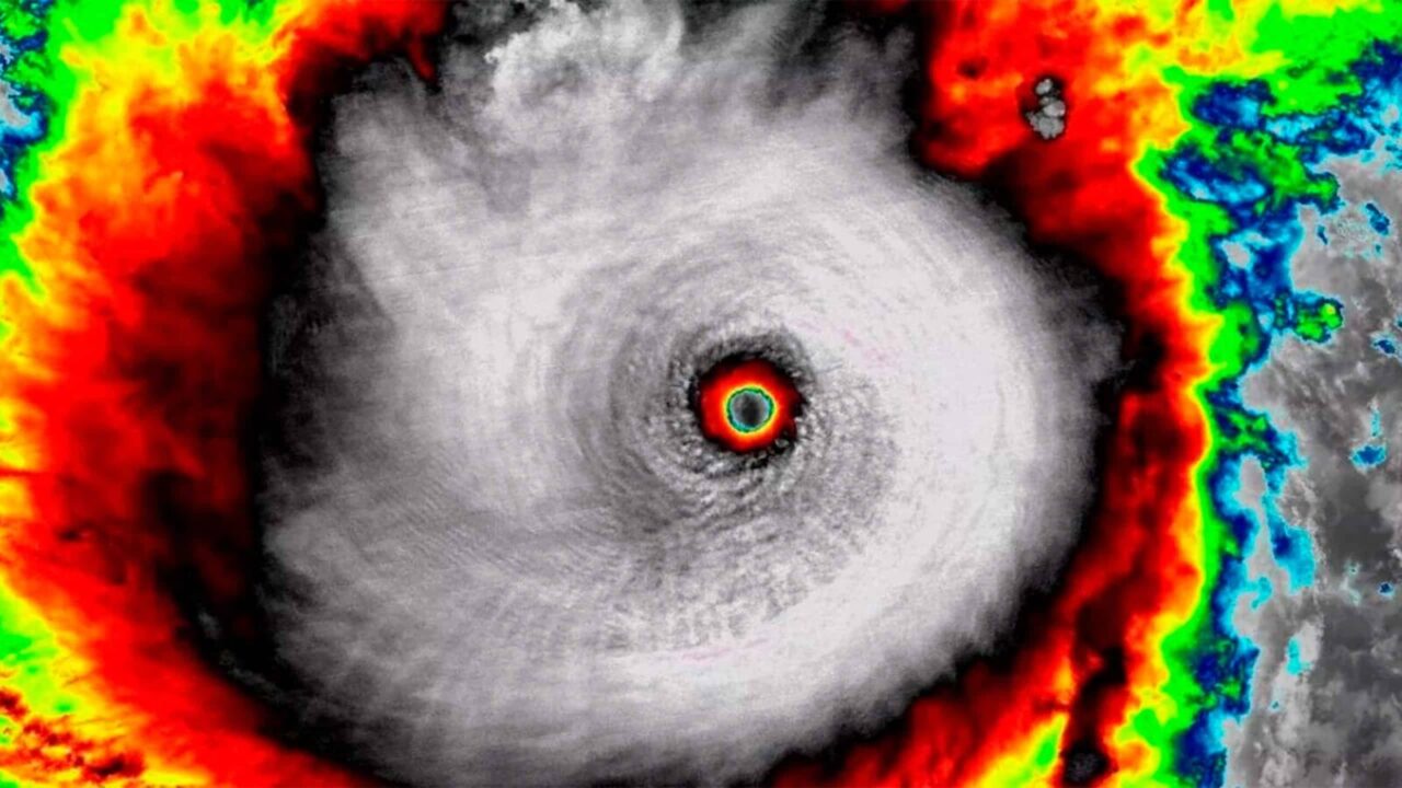
O furacão Milton, que se aproxima rapidamente da costa dos Estados Unidos, foi elevado à categoria 5, a mais forte na escala de furacões, na noite desta terça-feira (08/10), de acordo com o Centro Nacional de Furacões dos EUA (NHC). Isso significa que os ventos já ultrapassam os 252 km/h, com potencial para destruir construções, bloquear estradas e causar danos devastadores.

Furacão Milton- Imagem: Divulgação
Milton deve chegar à costa oeste da Flórida na noite de quarta-feira (09/10) ou na manhã de quinta-feira (10/10). Embora haja previsões de que o furacão perca um pouco de força e atinja o estado como categoria 3, isso ainda representa uma ameaça significativa.
Preocupação com a Intensidade
O presidente dos Estados Unidos, Joe Biden, alertou que o furacão Milton pode ser o pior a atingir o país em cem anos. Ele pediu que os moradores da Flórida, localizados nas áreas de maior risco, evacuem imediatamente. “É uma questão de vida ou morte”, afirmou o presidente.
Com ventos atualmente em torno de 240 km/h, Milton se intensificou de forma “explosiva” nas últimas 24 horas, passando da categoria 1 para a 5 em apenas dois dias. O NHC enfatizou que essa é uma situação de extrema gravidade e que as evacuações e preparativos devem ser concluídos até o final desta terça-feira.

Furacão Milton- Imagem: Divulgação
Evacuações e Impactos
Condados como Charlotte, Hillsborough, Lee e Manatee já começaram as evacuações obrigatórias. A expectativa é que o furacão cause uma tempestade com ondas de até três metros em áreas da costa oeste da Flórida.
Além disso, parques populares como os da Disney e Universal em Orlando anunciaram fechamentos a partir de quarta-feira. Supermercados e postos de gasolina na região enfrentam longas filas, enquanto moradores se preparam com suprimentos e sacos de areia para se proteger das inundações.

Furacão Milton- Imagem: Divulgação
Causas e Contexto
O furacão Milton se formou e ganhou força sobre águas excepcionalmente quentes no Golfo do México, o que os cientistas associam às mudanças climáticas. O aumento da temperatura do oceano tem contribuído para a intensificação de tempestades como Milton.
Esta emergência ocorre apenas dez dias após o furacão Helene, que foi o mais mortal a atingir os EUA desde o furacão Katrina, em 2005, deixando mais de 225 mortos no sudeste do país.
Histórias de Destruição
Tempestades de categoria 5 são raras, mas devastadoras. Entre as mais famosas estão o furacão Camille, que destruiu parte do Mississippi em 1969, e o furacão Andrew, que causou grandes estragos no sul da Flórida em 1992.
Com o avanço do furacão Milton, autoridades estaduais e federais seguem em alerta, preparando medidas de emergência e auxiliando nas evacuações para minimizar os danos e proteger vidas.
Com informações BBC








