Um acidente de trânsito registrado na manhã da ultima terça-feira (28/10) no estado do Mississippi, Estados Unidos, terminou com a fuga de macacos usados em pesquisas...
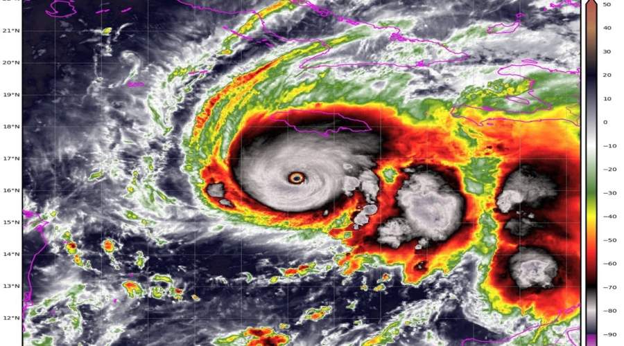
O Furacão Melissa está deixando um rastro de destruição no Caribe. Classificado como um dos mais poderosos já registrados no Atlântico, o fenômeno atingiu Cuba na...
Um trágico acidente aéreo chocou moradores da cidade de Táchira, na manhã desta quarta-feira (22). Uma aeronave modelo Piper Cheyenne caiu e explodiu poucos segundos após...
Na madrugada desta segunda-feira (20/10), um avião de carga vindo de Dubai se envolveu em um grave acidente no Aeroporto Internacional de Hong Kong. A aeronave...
Os primeiros reféns israelenses mantidos pelo Hamas começaram a ser libertados nas primeiras horas desta segunda-feira (13), no horário local — ainda noite de domingo no...
No último final de semana um show com drones pirotécnicos na cidade de Liuyang, província de Hunan, na China, deu muito ruim e os drones despencaram...
O rapper e produtor musical Sean “Diddy” Combs, de 54 anos, foi condenado nesta sexta-feira (3) a 50 meses de prisão — equivalente a 4 anos,...
A adolescente Paloma Nicole Arellano Escobedo, de 14 anos, faleceu no último sábado (20) na cidade de Durango, México, devido a complicações após uma cirurgia estética...
Volodymyr Zelensky acaba de ganhar mais um reforço no seu time, trata-se do cinegrafista amazonense Renato Belém, de 38 anos, que embarca nesta segunda-feira, 29/9, para...
Uma mulher morta de cansada acabou sendo flagrada por uma câmera de segurança sem as calças saindo pra trabalhar. O vídeo registrou a cena curiosa da...
Um passeio que prometia diversão terminou em susto para uma passageira de um cruzeiro pelo Alasca. A mulher ficou presa dentro do toboágua Ocean Loops, uma...
Nesta segunda-feira (22/9) o presidente dos Estados Unidos, Donald Trump, afirmou que a FDA, agência reguladora de medicamentos do país, irá notificar médicos sobre um “suposto...
Nos últimos dias, diversos portais e páginas de redes sociais de orientação política de direita espalharam nas redes sociais a informação de que o Major-General Pedro...
O que era para ser apenas um dia de diversão na praia terminou em um susto daqueles para a influenciadora e designer de moda mexicana Kitzia...
O levantamento mostrou que, em agosto, o café ficou 2,17% mais barato em relação a julho. Foi o segundo mês seguido de queda, depois de um...
Um acidente devastador com o famoso Elevador da Glória, conhecido como o “Bondinho de Lisboa”, chocou a capital portuguesa na quarta-feira (3). O funicular, que liga...
Os pais de Adam Raine, de 16 anos, entraram com uma ação judicial contra a OpenAI e o CEO da empresa, Sam Altman, após a morte...
Nesta terça-feira (2/09), os Estados Unidos divulgaram um vídeo impactante de uma operação no Caribe contra um barco venezuelano suspeito de transportar drogas. De acordo com...
A primeira-ministra da Itália, Giorgia Meloni, afirmou estar “enojada” após a descoberta de fotos manipuladas suas e de outras mulheres publicadas em um site pornográfico italiano....
O pré-candidato à presidência da Colômbia, Miguel Uribe, morreu morreu nesta segunda-feira (11/8) , após lutar pela vida por dois meses lutando pela vida. O senador...